
México.- El Maestro en Ciencias Fabián Vázquez Romaña, coordinador general del Servicio Meteorológico Nacional (SMN), informó que el huracán Melissa se ha mantenido activo durante siete días y se perfila como el fenómeno más intenso de la actual temporada en la cuenca del Atlántico y el Pacífico oriental.
“Estamos ya dándole seguimiento desde hace prácticamente siete días a Melissa. Ese es uno de los grandes temas que tiene Melissa: que tiene siete días desde que se formó. Ha tenido muy poco desplazamiento”, explicó Vázquez Romaña en Aristegui en Vivo.
De acuerdo con el especialista, desde su formación se anticipó que el sistema presentaría un proceso de intensificación rápida, un comportamiento que, dijo, “cada vez está siendo más frecuente”.

Actualmente, Melissa presenta vientos máximos sostenidos de 290 kilómetros por hora y rachas de hasta 345 km/h, con desplazamiento lento hacia el nor-noroeste. “El día de ayer estaba a 6 km/h; hoy está a 7 km/h. Entonces, los efectos destructivos que va a tener este ciclón tropical se van a extender por lo menos 24 horas sobre Jamaica, 24 horas con vientos de 300 km/h”, advirtió.
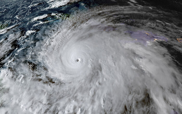
El coordinador del SMN señaló que el ojo del huracán tiene “más o menos 20 km de radio” y destacó la simetría casi perfecta del sistema, “uno de los principales indicadores de que es categoría 5”. Agregó que el fenómeno “está ya a unas horas de que su centro ingrese a Jamaica”, y que sus bandas externas ya afectan a Haití, República Dominicana y Cuba.
En cuanto al pronóstico, Vázquez Romaña detalló que Melissa “se va a mover hacia el nor-noroeste durante los próximos días. Hoy, como categoría 5 en la escala Saffir-Simpson, ingresa a tierra ya en cuestión de horas sobre Jamaica. Va a pasar muy cerca de Montego Bay”.
Explicó que el lado derecho del ciclón tropical es el sector más peligroso, por lo que “justo ese lado derecho va a quedar pasando sobre Kingston, donde también estamos esperando que haya mucha afectación durante las próximas horas”.
Después de su paso por Jamaica, el huracán se moverá hacia Santiago de Cuba, donde se espera que llegue como categoría 4. “En este trayecto -de Jamaica hacia la isla de Cuba- son 24 horas, entonces son 24 horas con afectación de un categoría 5, lo que lo hace extremadamente peligroso”, dijo.

El especialista precisó que tras cruzar Cuba, Melissa se debilitará a categoría 2 y se desplazará hacia algunas zonas de Bahamas, aunque todavía con efectos adversos. “Definitivamente va a ser un evento del que vamos a hablar durante toda la temporada, como el más intenso y potencialmente catastrófico”, señaló.
Sobre la velocidad inusualmente baja de desplazamiento, Vázquez Romaña aclaró que, aunque no puede calificarse de “atípico” sin un análisis estadístico, “no es común: un ciclón tropical más o menos se mueve entre 15 y 16 km/h”.
Indicó que la persistencia de Melissa en el Caribe se explica en parte porque “en esta temporada prácticamente no habíamos tenido ningún ciclón en el Caribe, entonces todo ese contenido de calor oceánico que hay en toda esta región no se consumió por ningún ciclón. Tiene una reserva de energía prácticamente ilimitada porque es muy profundo en esa región y está constantemente alimentándose con agua cálida”.
El coordinador del SMN recordó además que la simetría perfecta del huracán se debe a la ausencia de vientos fuertes en altura que podrían deformarlo. “Por eso tiene todas las condiciones ideales para mantenerse como un huracán muy intenso, y por eso alcanza este círculo casi perfecto”, explicó.
El meteorólogo advirtió sobre el riesgo de subestimar el fenómeno por un eventual descenso en la categoría del huracán. “A veces nos vamos con la finta de que va a pasar de categoría 5 a categoría 4, pero recordemos que, a partir de categoría 3, ya es un huracán mayor […] sigue siendo un huracán muy peligroso, muy intenso, y la población se tiene que mantener completamente resguardada”.

Agregó que los efectos acumulados de las lluvias y el viento podrían provocar devastación en varias islas del Caribe: “Tienes 24 horas con rachas de viento cercanas o superiores a los 300 km/h, la devastación que genera el oleaje que va a estar ingresando a las islas y las precipitaciones que no van a parar por 24 horas. Pero no solamente 24 horas, sino que ya llovió antier y antes de antier […] entonces se van acumulando todos estos efectos”.
Finalmente, señaló que, aunque en Haití ya no se esperan los vientos más intensos, “ya llevan cinco días con lluvia”, por lo que continuarán las precipitaciones en Haití y República Dominicana antes de que el sistema avance hacia Cuba y posteriormente a las Islas Turcas y Caicos, donde “también va a pasar como categoría 3 o 2, pero igual generando efectos muy adversos en esas islas que son muy pequeñas”.












